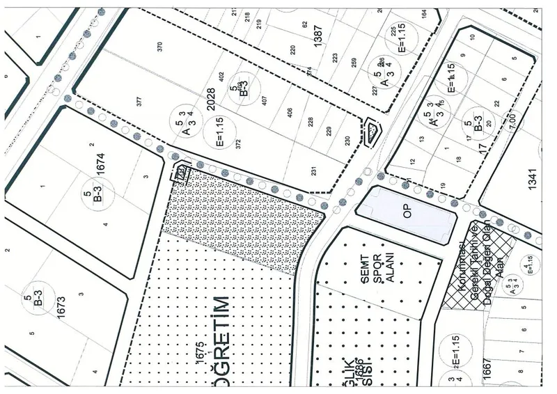
Yenimahalle'de Trafo Alanı İmar Planı Değişikliği Onaylandı
Yenimahalle 1674 ada 3 parselin güneyindeki alana 'Trafo Alanı' amaçlı Uygulama İmar Planı (UİP) değişikliği teklifi, Bandırma Belediyesi Meclisi'nin 7 Ekim 2025 tarih ve 92 sayılı kararı ile kabul edildi.
Büyükşehir Onayı ve Askı Süreci
Onaylanan plan değişikliği teklifi, daha sonra Balıkesir Büyükşehir Belediyesi Meclisi'nin 13 Ocak 2026 tarih ve 107 sayılı kararı ile onandı. 3194 sayılı İmar Kanunu'nun 8/b maddesi uyarınca, değişiklik bir ay süreyle ilan edilmek üzere askıya çıkarıldı ve Bandırma Belediyesi'nin internet sitesinde yayınlandı.
İlan Duyurusu
Konuyla ilgili taraflara ilanen duyuruldu. Duyuru tarihi 3 Şubat 2026 olarak belirlendi.
Balıkesir,Bandırma Belediyesi
Balıkesir,Bandırma Belediyesi
Denizli'de Ramazan'ın Son İftarı Delikliçınar'da Binlerle Yapıldı
Kütahya'da Bayram Ziyareti: Güvenlik Güçleri Kutlandı
Başkan Çavuşoğlu, Bayramda Personel ve Hastaları Ziyaret Etti
Başkan Kahveci Erkek Yaşam Merkezi'nde Bayramlaştı
Keçiören'de 450 Bin Kişiye İftar Hizmeti Verildi
ALKÜ ve Alanya Belediyesi Down Sendromlulara Diş Taraması Yaptı
Mersin'de 60 bin çocuğa bayram hediyesi dağıtıldı
Mersin'de Mezarlıklara Bayram Hizmeti
İstanbul'da Nevruz Toyu Kutlamaları Başlıyor
7.2°



