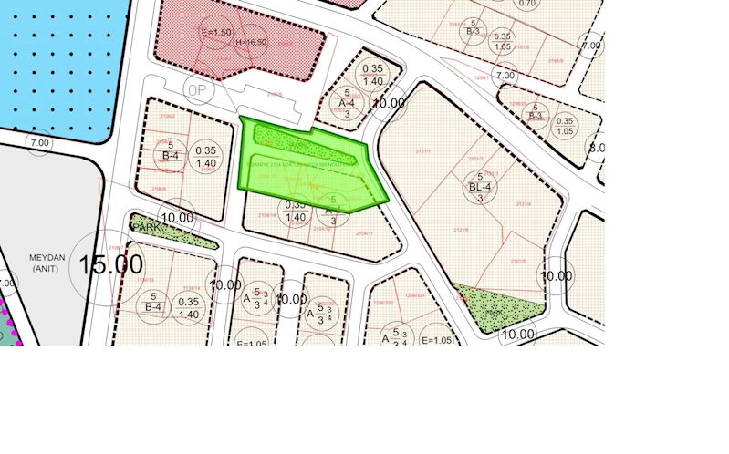
İhsaniye 2104 Ada 18. Madde Uygulaması
İlçemiz İhsaniye Mahallesi 2104 ada 5-6-7-8-9-10-15-16-17-18 ve 19 nolu parselleri kapsayan 3194 Sayılı İmar Kanununun 18. Madde uygulama çalışmalarına ait dağıtım cetvelleri ve parselasyon planları 11.10.2023 - 13.11.2023 tarihleri arasında (1) Bir ay süre ile İmar ve Şehircilik Müdürlüğü’nde ve Belediyemiz ilan panosunda ilan edilecektir.
Yukarıda yazılı ilan metninin Yerel Gazete, Yerel TV, Belediyemize ait internet sitesi, ilan panosu ve gazetesinde 1 (Bir) Ay süre ile ilan edilmesi uygun bulunmuştur.
Balıkesir,Bandırma Belediyesi
Eskişehir Senfoni'den Çanakkale Zaferi'ne Özel Konser
Çanakkale'de Fener Alayı ile 111. Yıl Coşkusu
Eskişehir'de Kent Lokantaları'ndan 18 Mart'a Özel Anlamlı Menü
Mersin'de Kıyafet Evi, Bayramda Çocukları Sevindirdi
Bolu'da Ramazan Bayramı'nda toplu taşıma ücretsiz
Eskişehir'de Mezarlık Ziyaretçilerine Ücretsiz Çiçek Dağıtımı
Altınordu'da Bayramda Otoparklar Ücretsiz
Keçiören'de Dört İlin Hemşehrileri İftarda Buluştu
Nilüfer'de kaçak barakalar yıkıldı
7.8°



